Home » D:News » Uraganele au devenit atât de puternice încât trebuie creată o nouă categorie

Uraganele au devenit atât de puternice încât trebuie creată o nouă categorie

Uraganele au devenit atât de puternice încât trebuie creată o nouă categorie
Sursa foto: Shutterstock
Publicat: 09.03.2024

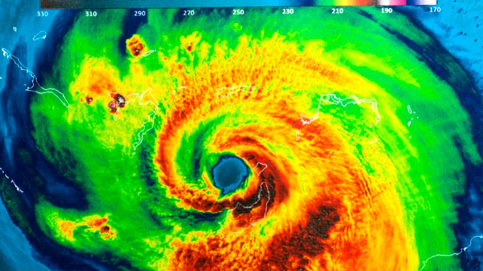
Uraganele au devenit atât de puternice din cauza crizei climatice, încât clasificarea lor ar trebui extinsă pentru a include o furtună de „categoria 6″, fiind extinsă scara de la 1 la 5, conform unui nou studiu.

În ultimul deceniu, cinci furtuni ar fi fost încadrate în acest nou nivel de intensitate, de categoria 6. Aici ar fi incluse toate uraganele cu vânturi susținute de 192 m/h sau mai mult.

Astfel de mega-uragane devin tot mai probabile din cauza încălzirii globale – a încălzirii oceanelor și a atmosferei.

„Să fii prins în acest tip de uragan ar fi rău”

Omul de știință Michael Wehner, de la Lawrence Berkeley National Laboratory din SUA, a declarat că viteza de „192 m/h este probabil mai mare decât majoritatea mașinilor Ferrari, iar asta este greu de imaginat”. El a propus noua categorie 6 alături de un alt cercetător, James Kossin de la Universitatea Wisconsin-Madison.

„Să fii prins în acest tip de uragan ar fi rău. Foarte rău”, mai spune Wehner.

Noul studiu propune o extensie a nivelurilor de încadrare a uraganelor Saffir-Simpson, utilizată pe scară largă, care a fost dezvoltată la începutul anilor 1970 de Herbert Saffir, un inginer civil, și de Robert Simpson, un meteorolog, fost director al Centrului Național de Uragane din SUA.

Scara clasifică orice uragan cu o viteză maximă susținută a vântului de 74 m/h – sau mai mult – ca fiind un eveniment de categoria 1, iar această scară crește pe măsură ce vântul este mai puternic. Categoria 3 (și peste aceasta) include uraganele majore, care riscă să provoace pagube grave, iar cea mai puternică (categoria 5), include toate furtunile care au o viteză de 157 m/h sau mai mult.

Doar norocul a făcut ca până acum să nu apară un uragan de categoria 6

Furtunile de categoria 5 au provocat pagube spectaculoase în ultimii ani – cum ar fi dezastrul din New Orleans provocată de uraganul Katrina în 2005 și impactul devastator al uraganului Maria asupra Puerto Rico în 2017.  Noul studiu arată că există acum o clasă de furtuni și mai puternic, care necesită o categorie proprie.

Printre acestea se numără taifunul Haiyan, care a ucis peste 6.000 de persoane în Filipine în 2013, și uraganul Patricia, care a atins o viteză maximă de 215 m/h atunci când s-a format în apropiere de Mexic, în 2015, potrivit The Guardian.

„Încă nu a fost niciunul în Atlantic sau în Golful Mexic, dar aici sunt condiții propice pentru categoria 6, este doar noroc că nu a fost încă unul. Sper că nu se va întâmpla, dar este doar o aruncare a zarurilor. Știm că aceste furtuni au devenit deja mai intense și vor continua să facă acest lucru”, a declarat Wehner.

Vă mai recomandăm să citiți și:

Uraganul Otis a devastat stațiunea de coastă mexicană Acapulco

Uraganele din Atlantic devin mai puternice mai repede decât acum 40 de ani

Sirenele de avertizare din Hawaii nu au sunat atunci când „uraganul de foc” a lovit

Uraganele produc mai multă ploaie decât înainte, arată un studiu

Urmărește DESCOPERĂ.ro pe
Google News și Google Showcase
Cele mai noi articole
O nouă tehnică de terapie neinvazivă poate trata depresia într-un timp record
O nouă tehnică de terapie neinvazivă poate trata depresia într-un timp record
Ziua în care Winston Churchill a anunţat că Marea Britanie a dezvoltat bomba atomică
Ziua în care Winston Churchill a anunţat că Marea Britanie a dezvoltat bomba atomică
Cercetătorii chinezi au inventat o baterie care ar putea revoluționa industria energetică
Cercetătorii chinezi au inventat o baterie care ar putea revoluționa industria energetică
Merită sau nu să cumpărăm șampoanele mai scumpe?
Merită sau nu să cumpărăm șampoanele mai scumpe?
Iată de ce este recomandat să-ți încarci telefonul înainte să se descarce complet
Iată de ce este recomandat să-ți încarci telefonul înainte să se descarce complet
Medicii trag un semnal de alarmă: tot mai multe femei vor suferi de boli cardiovasculare
Medicii trag un semnal de alarmă: tot mai multe femei vor suferi de boli cardiovasculare
Un crater de impact în formă de potcoavă, descoperit în China, ar putea fi cel mai „tânăr” din lume
Un crater de impact în formă de potcoavă, descoperit în China, ar putea fi cel mai „tânăr” din lume
Galen din Pergamon: medicul gladiatorilor care a pus bazele neurologiei moderne
Galen din Pergamon: medicul gladiatorilor care a pus bazele neurologiei moderne
Una dintre cele mai mari stele cunoscute și-a schimbat culoarea. Este aceasta pe cale să explodeze?
Una dintre cele mai mari stele cunoscute și-a schimbat culoarea. Este aceasta pe cale să explodeze?
Este adevărat că urechelnițele intră în urechile oamenilor și le afectează timpanul?
Este adevărat că urechelnițele intră în urechile oamenilor și le afectează timpanul?
Ar putea exista de două ori mai multe specii de vertebrate pe Pământ. Cum este posibil?
Ar putea exista de două ori mai multe specii de vertebrate pe Pământ. Cum este posibil?
ADN-ul antic dezvăluie că ultimii vânători-culegători ai Europei au supraviețuit mai mult timp decât se credea
ADN-ul antic dezvăluie că ultimii vânători-culegători ai Europei au supraviețuit mai mult timp decât se credea
Un nou studiu schimbă tot ce știam despre disparițiile misterioase ale marilor rechini albi
Un nou studiu schimbă tot ce știam despre disparițiile misterioase ale marilor rechini albi
Psihologia riscului: Cum să păstrezi lucrurile sub control la casino online (P)
Psihologia riscului: Cum să păstrezi lucrurile sub control la casino online (P)
Postul intermitent, sub semnul întrebării: nu este mai bun decât dietele clasice și nici nu influențează greutatea
Postul intermitent, sub semnul întrebării: nu este mai bun decât dietele clasice și nici nu influențează greutatea
Adulții cu TSA sau sindrom Down suferă mai mult de anxietate și depresie
Adulții cu TSA sau sindrom Down suferă mai mult de anxietate și depresie
Oamenii de știință dezvăluie legătura dintre microbii intestinali și sănătatea inimii
Oamenii de știință dezvăluie legătura dintre microbii intestinali și sănătatea inimii
Test de cultură generală. De ce căscatul este contagios?
Test de cultură generală. De ce căscatul este contagios?