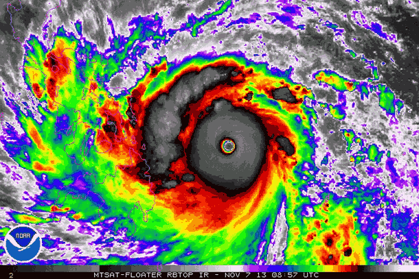
Cu rafale de vânt care bat cu mai bine de 370 de kilometri pe oră şi cu o viteză constantă a vântului de 305 de kilometri pe oră, intensitatea super taifunului a „depăşit uşor punctul maxim de 8,0 pe scara Dvorak, ajungând la 8,1”.

Holthaus susţine că Yolanda (aşa cum a fost taifunul botezat în Filipine), depăşeşte intensitatea furtunii Wilma (2005) cu 8 km/h. Wilma a fost cea mai puternică furtună din Atlantic, ceea ce înseamnă că Yolanda şi-a câştigat un loc în clubul select al Celor Mai Rele Furtuni din Istoria Planetei. Mai exact, din 1969 şi până acum, doar trei alte furtuni au ajuns la o astfel de intensitate.
Cu siguranţă, datele sunt destul de îngrijorătoare, iar dezastrul umanitar care s-ar putea dezlănţui va fi imens.
Taifunul Haiyan (aşa cum se numeşte oficial) a atins vineri dimineaţă coastele Filipinelor. Haiyan a atins Insula Samar, situată la distanţa de aproximativ 600 de kilometri sud-est de Manila, după ce a lovit oraşul Guiuan, vineri, la ora 4.40 (joi, 22.40, ora României).
Rapoartele publicate până acum susţine că, până acum, furtuna a provocat moartea a cel puţin trei persoane.

Pagubele ar putea fi „catastrofale” la Guiuan, un port pescăresc de 40.000 de locuitori, a avertizat meteorologul american Jeff Masters pe site-ul www.wunderground.com. „Probabil cele mai importante pagube cauzate în ultimul secol de un ciclon într-un oraş”, apreciază el. Comunicaţiile cu oraşul s-au întrerupt imediat după sosirea taifunului.
Filipinele sunt traversate anual de aproximativ 20 de furtuni importante sau taifunuri, în general în perioada iunie-octombrie. Oamenii de ştiinţă se tem de un proces de intensificare a acestui fenomen odată cu agravarea încălzirii globale.
Haiyan ar urma să traverseze zone care încă îşi revin după trecerea unor furtuni devastatoare şi după producerea unui cutremur cu magnitudine de 7,1 în octombrie, pe Insula Bohol (222 de morţi).
Insula meridională Mindanao este, de asemenea, foarte vulnerabilă. Furtuna Washi a provocat moartea a peste o mie de persoane în decembrie 2011, în timp ce taifunul Bopha s-a soldat cu aproape 2.000 de morţi şi dispăruţi un an mai târziu.



