Home » Natură » Uraganul Dorian a lovit Bahamas – VIDEO

Uraganul Dorian a lovit Bahamas – VIDEO

Uraganul Dorian a lovit Bahamas – VIDEO
Publicat: 02.09.2019
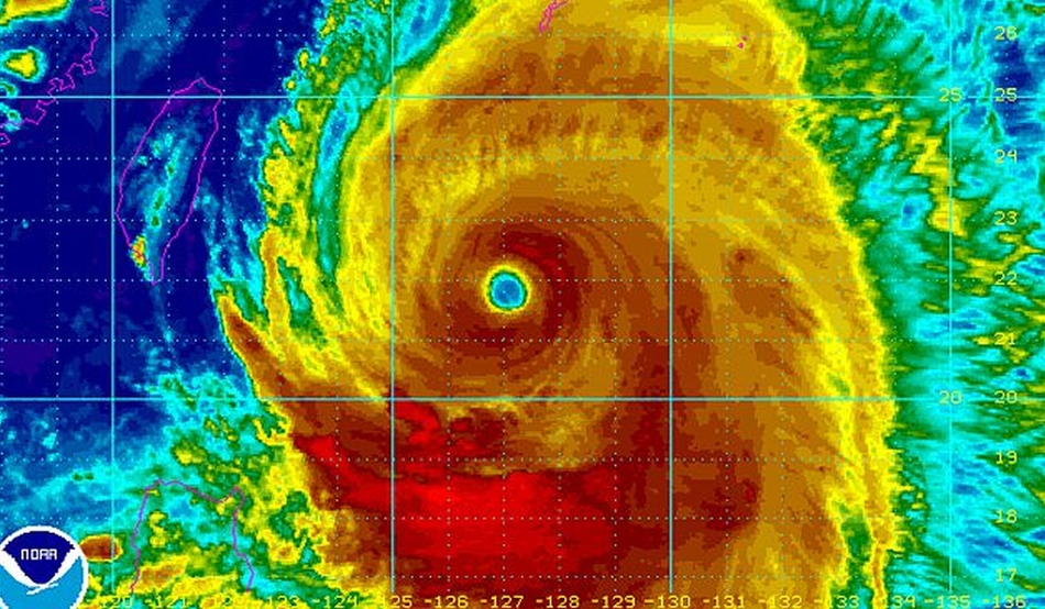
Uraganul Dorian, de categorie 5, a lovit duminică statul Bahamas, provocând pagube importante în această ţară, informează BBC, citat de Mediafax.

Viteza vântului a depăşit, pe alocuri, 180 de kilometri pe oră, iar reprezentanţii Centrului Naţional pentru Uragane al Statelor Unite (NHC) a informat că această furtună „extrem de periculoasă” reprezintă cel mai puternic astfel de fenomen din istoria recentă a regiunii.

Autorităţile din Bahamas au decis evacuarea populaţiei din zonele care ar urma să fie afectate de uraganul Dorian.

Mai multe zone au fost inundate în această ţară, iar anumite aeroporturi au fost închise din cauza fenomenelor meteo extreme. Autorităţile se aşteaptă ca uraganul să se îndrepte spre coasta de est a statului american Florida în cursul zilei de luni.

Guvernatorul Floridei, Ron DeSantis, a decretat stare de urgenţă pentru întreg statul şi a făcut apel cetăţenilor să îşi facă rezerve de mâncare, apă şi medicamente pentru cel puţin o săptămână.

„Îndemnăm toţi cetăţenii Floridei să aibă mâncare, medicamente şi apă pentru şapte zile. Este posibil ca acest eveniment să se întindă pe mai multe zile, ceea ce creează în mod evident o serie de probleme”, a declarat Ron DeSantis.

Meteorologii au avertizat că uraganul Dorian ar putea fi cea mai gravă furtună de la uraganul Andrew, încadrat la categoria 5, care a provocat moartea a 65 de persoane şi a distrus 63.000 de case în 1992.

 

Urmărește DESCOPERĂ.ro pe
Google News și Google Showcase
Cele mai noi articole
Telescopul Webb a descoperit o galaxie spirală masivă de la începuturile Universului
Telescopul Webb a descoperit o galaxie spirală masivă de la începuturile Universului
Mitul medieval care ascunde una dintre cele mai profunde teorii despre sufletul uman
Mitul medieval care ascunde una dintre cele mai profunde teorii despre sufletul uman
O întâlnire străveche a Soarelui cu alte două stele a schimbat pentru totdeauna Sistemul Solar
O întâlnire străveche a Soarelui cu alte două stele a schimbat pentru totdeauna Sistemul Solar
Albert Einstein a avut dreptate: Timpul se scurge mai repede pe planeta Marte!
Albert Einstein a avut dreptate: Timpul se scurge mai repede pe planeta Marte!
Legendele uitate care au modelat miturile arturiene: Iosif din Arimateea și primii Vânători ai Graalului
Legendele uitate care au modelat miturile arturiene: Iosif din Arimateea și primii Vânători ai Graalului
Cum îi sprijinim pe cei care au pierdut pe cineva drag ori sunt la final de viață? Ghid empatic, bazat pe psihologie
Cum îi sprijinim pe cei care au pierdut pe cineva drag ori sunt la final de viață? Ghid empatic, bazat pe psihologie
Gardieni, creatori și simboluri ale puterii: Dragonii nu au fost întotdeauna personaje negative
Gardieni, creatori și simboluri ale puterii: Dragonii nu au fost întotdeauna personaje negative
Ce se întâmplă cu creierul atunci când lucrezi în echipă?
Ce se întâmplă cu creierul atunci când lucrezi în echipă?
Locul în care trăiești influențează ce greutate ai, arată un nou studiu
Locul în care trăiești influențează ce greutate ai, arată un nou studiu
Test de cultură. Care fasole este toxică atunci când este mâncată crudă?
Test de cultură. Care fasole este toxică atunci când este mâncată crudă?
JWST a descoperit o galaxie spirală asemănătoare Căii Lactee undeva unde nu ar trebui să existe
JWST a descoperit o galaxie spirală asemănătoare Căii Lactee undeva unde nu ar trebui să existe
Un cosmonaut rus, eliminat dintr-o misiune care trebuia să ajungă la Stația Spațială Internațională. Ce s-a întâmplat?
Un cosmonaut rus, eliminat dintr-o misiune care trebuia să ajungă la Stația Spațială Internațională. Ce s-a întâmplat?
Un magician a uitat parola cipului implantat în propriul corp
Un magician a uitat parola cipului implantat în propriul corp
10 obiceiuri prin care putem încetini îmbătrânirea corpului nostru
10 obiceiuri prin care putem încetini îmbătrânirea corpului nostru
Ziua în care Alexandru Ioan Cuza a introdus învăţământul obligatoriu şi gratuit. Ce păţeau părinţii care nu se supuneau legii
Ziua în care Alexandru Ioan Cuza a introdus învăţământul obligatoriu şi gratuit. Ce păţeau părinţii care nu se ...
20 de lucruri uimitoare despre creierul uman
20 de lucruri uimitoare despre creierul uman
Marile companii de Inteligență Artificială sunt „mai puțin reglementate decât restaurantele”
Marile companii de Inteligență Artificială sunt „mai puțin reglementate decât restaurantele”
Trei reguli pe care părinții ar trebui să le aplice în privința telefoanelor pentru copii
Trei reguli pe care părinții ar trebui să le aplice în privința telefoanelor pentru copii